

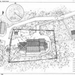
Opis załączonej inwentaryzacji rysunkowo-pomiarowej, sygnatury AAB_005_002_01_Ec - AAB_005_002_10_Ec. Inwentaryzacja, 10 arkuszy, rysunek tuszem na kalce technicznej: plan sytuacyjny – 1 :200; rzut przyziemia, rzut więźby, 5 przekroi, 2 elewacje – 1:50. Wykonał zespół A. Bojarski, A. Chojnacki, P. Kędra, J. Kuter pod kier. dr arch. inż. A. Bocheńskiego, lipiec 1983 r.
wróć do katalogu